枣庄市自然资源和规划局国有建设用地使用权网上挂牌出让公告
发布日期: 2025-10-30

市中自资告字〔2025〕13号

经枣庄市人民政府批准,枣庄市自然资源和规划局决定在枣庄市公共资源交易网(使用IE浏览器,IE10以上系统;网址:ggzy.zaozhuang.gov.cn)以网上挂牌的方式公开出让1宗国有建设用地使用权。现将有关事项公告如下:

一、出让地块基本情况和规划指标要求。

宗地编号

不动产

单元号

土地位置

土地面积(平方米)

土地用途

及年期

规划指标要求

标准地控制指标

起始价

(万元、

人民币)

保证金

(万元、

人民币)

加价

幅度

(万元)

挂牌报价

起止时间

容积率

(地上)

建筑

系数

绿地率

投资强度(万元/亩)

年均税收(万元/亩)

单位能耗增加值(万元/吨标煤)

环保指标

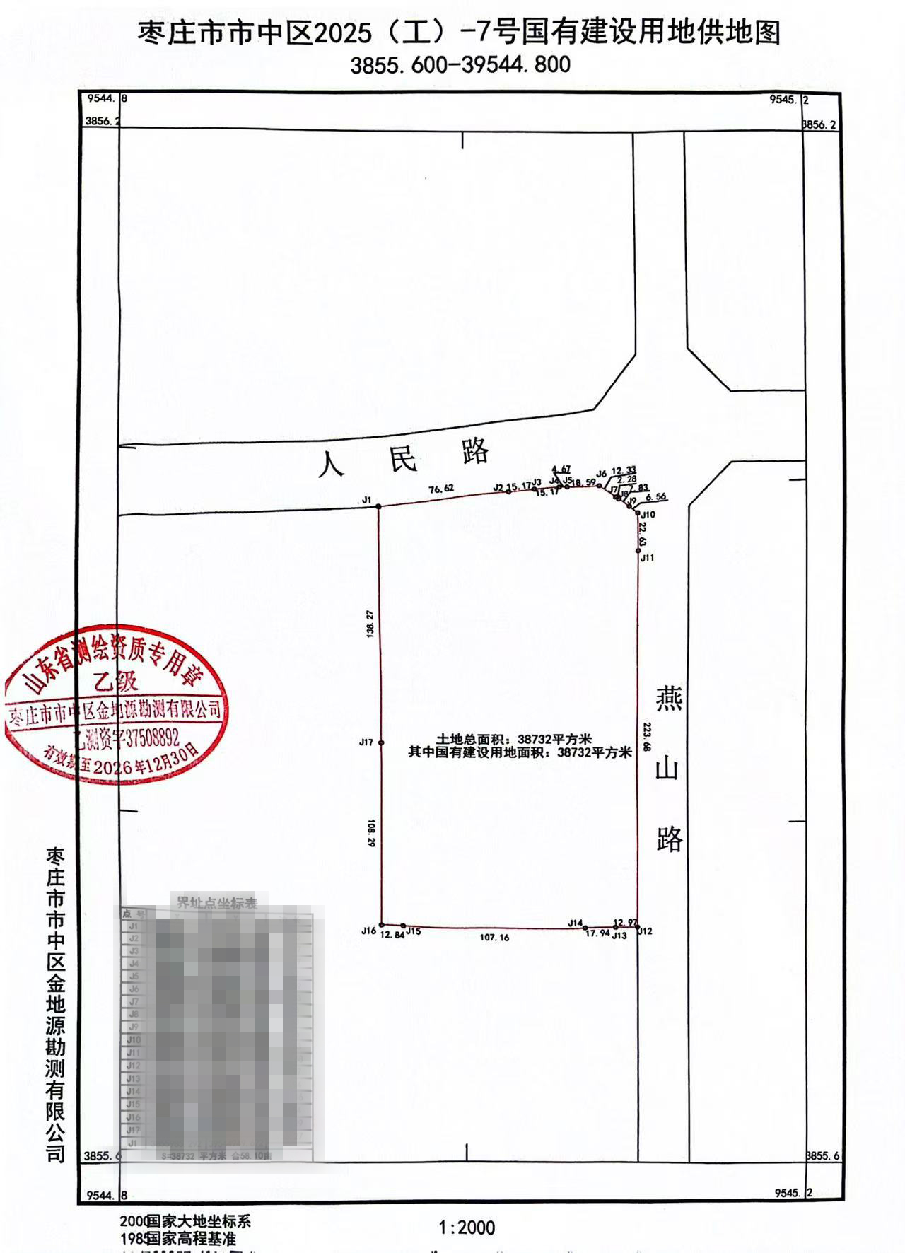
市中区2025(工)-7号

370402104207GB00003W00000000

市中区燕山路西侧、人民路南侧、夏庄村辖区

38732平方米

二类工业用地20年

容积率≥1.0(特殊生产工艺项目参照《山东省建设项目用地控制标准》确定)

≥40%(特殊生产工艺按审定规划方案确定)

15%

280万元/亩

≥30万元

≤0.435吨标准煤/万元

污染物排放须执行颗粒物厂界最大排放浓度满足《大气污染物综合排放标准》(GB16297-1996)表2中无组织排放监控浓度限值(1.0㎎/m³))

1310

655

5

2025年11月19日9时00分起至2025年11月28日10时45分止

备注:1、该宗地需严格按照规划条件枣自资规行(市中)字〔2025〕17号执行。2、涉及文物保护内容,按照《山东省文物保护条例》等有关的法律法规和规定执行。3、受让人签订出让合同之日起60日内交清全部土地出让金。4、该宗地建设项目准入条件须严格按照市中区发展和改革局、枣庄市生态环境局市中分局相关要求,详情见附件。

二、竞买资格。凡中华人民共和国境内外的自然人、法人和其他组织,均可参加竞买(被国家有关部门列入失信黑名单的自然人、法人和其他组织除外)。有意竞买者应提前取得CA数字证书,于2025年11月26日16时前登录枣庄市公共资源交易网(网址ggzy.zaozhuang.gov.cn)提交竞买申请、足额缴纳竞买保证金,自行确认获得竞买资格。

三、出让方式。本次建设用地使用权网上挂牌出让采取增价报价方法,竞买人取得竞买资格后可在挂牌报价期间进行报价,挂牌截止时间前5分钟进入限时竞价,最后按照价高者得原则确定最高报价竞买人。竞价结果公示期满无异议后,最高报价竞买人在3个工作日内自行从交易系统打印已加盖枣庄市公共资源交易中心业务见证专用章的《网上挂牌交易结果通知书》,5个工作日内持《网上挂牌交易结果通知书》及相关资料到自然资源管理部门进行审核后,签订《建设用地使用权挂牌出让网上交易成交确认书》,则本次网上挂牌交易活动结束。

四、注意事项。

1、有意竞买者可登录枣庄市公共资源交易网(ggzy.zaozhuang.gov.cn),浏览或下载《枣庄市国有建设用地使用权挂牌出让网上交易规则(试行)》等文件,并按上述文件规定的操作程序办理CA数字证书并参加竞买。

2、本次国有建设用地使用权网上挂牌出让只接受网上竞买申请(即通过网上交易系统进行),不接受书面、电话、邮寄、电子邮件及口头竞买申请。

3、竞买申请人应详尽了解本次网上挂牌出让地块现状及所列条件,详细阅读网上交易规则,自行踏勘土地。提交竞买申请后,即视同对本次网上挂牌出让地块的现状及所列条件无异议并全面接受。

4、竞买人缴纳竞买保证金到账时间以银行系统反馈到网上交易系统的信息为准,建议竞买申请人至少提前2个工作日办理缴纳竞买保证金手续,并即时与银行联系核实到账信息。

5、竞买人务必认真阅读《枣庄市国有建设用地使用权挂牌出让网上交易规则(试行)》《建设用地使用权挂牌出让网上交易竞买人操作手册》,严格按照有关要求做好竞价准备工作。务必使用IE浏览器10及以上版本。竞买人因自身终端电脑或网络故障造成无法报价的,竞买人自行负责。建议准备两台按照要求设置合格的电脑,以防进行限时竞价时出现故障影响报价。 

6、未涉及事项,以挂牌文件为准。网上交易的具体情况详见枣庄市公共资源交易网《办事指南》栏目。

五、补充说明。

1、按现状条件交付土地,如果出让土地涉及地上和地下的光缆、管道、通讯、电力等设施的迁移等相关工作,由土地竞得者自行协调解决,出让人不承担任何费用。 

2、竞买申请人如果在竞买申请时声明拟成立新公司,须注明出资比例和构成,竞得成功后按照要求提供相关资料和证明,办理竞买人变更手续。

六、咨询方式。

1、业务咨询:枣庄市市中区自然资源局(市中区振兴南路2号) 电话:0632-7502772。

2、CA办理咨询:0632-8252191。

3、系统技术咨询:0632-8252190,0632-3168023。

4、枣庄市公共资源交易中心办公地点:新城民生路西、文体中心体育场北,石榴花玻璃幕墙造型西侧,地下一层。

电话:0632-8252190。

2025年10月30日


发改指标.jpg 规划条件.pdf 环保指标.jpg 宗地图.jpg