秀地平安里《建设用地规划许可证》 批前公告
发布日期: 2026-04-22

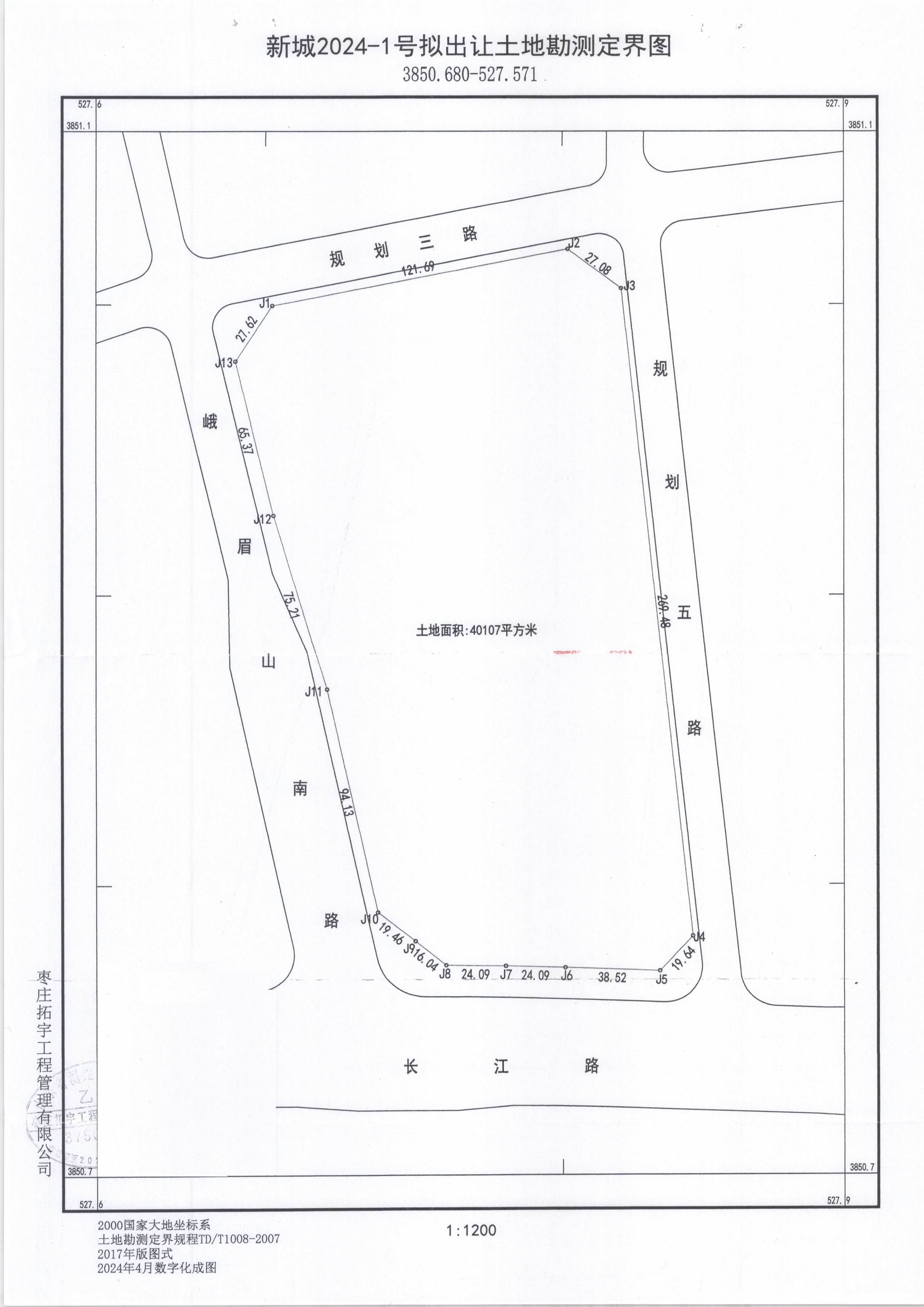
我局拟对枣庄拓恒置业有限公司核发《建设用地规划许可证》,现予公告,公告内容如下: 

一、地块信息

地块编号:新城2024-1号;新城2024-2

不动产单元号:370403 002207 GB00047 W00000000370403 002207 GB00048 W00000000

用地单位:枣庄拓恒置业有限公司

项目名称:秀地平安里

用地位置:薛城区峨眉山路东侧、规划三路南侧、太行山路西侧、长江路北侧

用地性质:二类城镇住宅用地兼容商业用地

用地面积:92916平方米

公告时间:7日(从2026422日至2026428日止)。

凡与上述申请事项之间有重大利益关系的申请人、利害关系人可在公告期限内以真实身份向我局提出书面意见并附联系方式,如逾期未提出的视为放弃申诉权利。

监督电话:0632-7587196

附件:土地勘测定界图

                                                                              枣庄市自然资源和规划局

                                                                                     2026422


附件:地块一 勘测定界图.jpg 附件:地块二 勘测定界图.jpg