枣庄未来易购置业有限公司云境栖筑小区建设项目《建设用地规划许可证》批前公告
发布日期: 2026-03-06
我局拟对枣庄未来易购置业有限公司核发《建设用地规划许可证》,现予公告。公告内容如下:
一、地块信息
不动产单元码:370402 006002 GB00053 W00000000
用地单位:枣庄未来易购置业有限公司
项目名称:云境栖筑小区建设项目
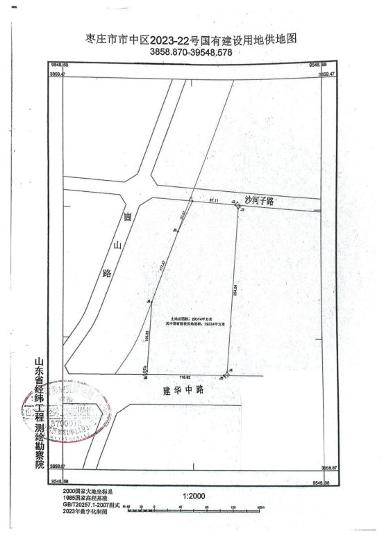
用地位置:市中区建华中路北侧、文汇路西侧、沙河子路南侧、西沙河以东
用地性质:商住混合用地及公园绿地
用地面积:29374平方米
公告时间
从2026年3月6日至2026年3月12日止,共7日。
其他说明
凡与上述申请事项之间有重大利益关系的申请人、利害关系人可在公告期限内以真实身份向我局提出书面意见并附联系方式,如逾期未提出的视为放弃申述权利。
监督电话:0632-7502719
邮箱:szghfw3@163.com
附件:国有建设用地供地图
枣庄市自然资源和规划局
2026年3月6日
