凤栖台《建设用地规划许可证》批前公告
发布日期: 2025-12-29

我局拟对中维(山东)置业有限公司用地单位核发《建设用地规划许可证》,现予公告。公告内容如下:

一、地块信息

不动产单元码:370405 105009 GB00018 W00000000

用地单位:中维(山东)置业有限公司

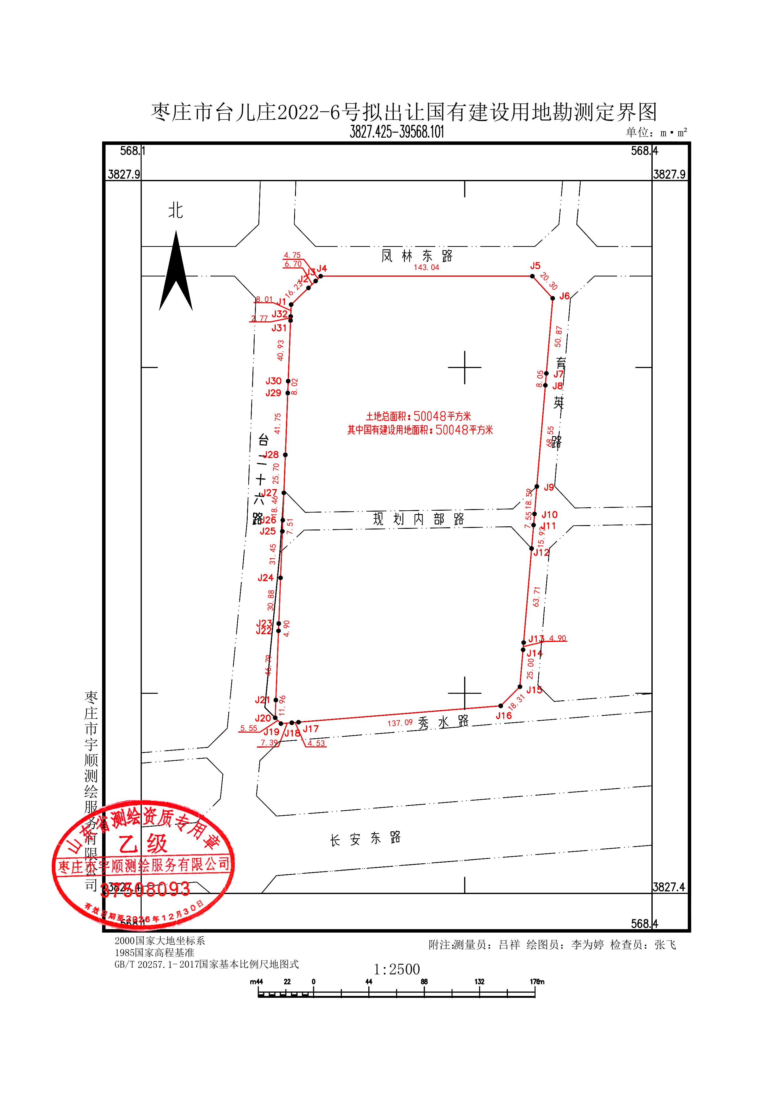
项目名称:凤栖台

用地位置:长安路北侧、桃园路东侧、凤林东路南侧(翰林底邸东区南侧)

用地性质:城镇住宅和商业用地

用地面积:50048平方米

二、公告时间

从2025年12月29日至2026年1月4日止,共7日。

三、其他说明

凡与上述申请事项之间有重大利益关系的申请人、利害关系人可在公告期限内以真实身份向我局提出书面意见并附联系方式,如逾期未提出的视为放弃申述权利。

监督电话:0632-6611716、0632-6681717

附件:国有建设用地勘测定界图

枣庄市自然资源和规划局

2025年12月29日


国有建设用地勘测定界图.jpg