中建材特种玻璃深加工建设项目一期厂区建设工程《建设用地规划许可证》批前公告
发布日期: 2025-12-26

我局拟对枣庄汇达资产运营有限公司核发《建设用地规划许可证》,现予公告。公告内容如下:

一、地块信息

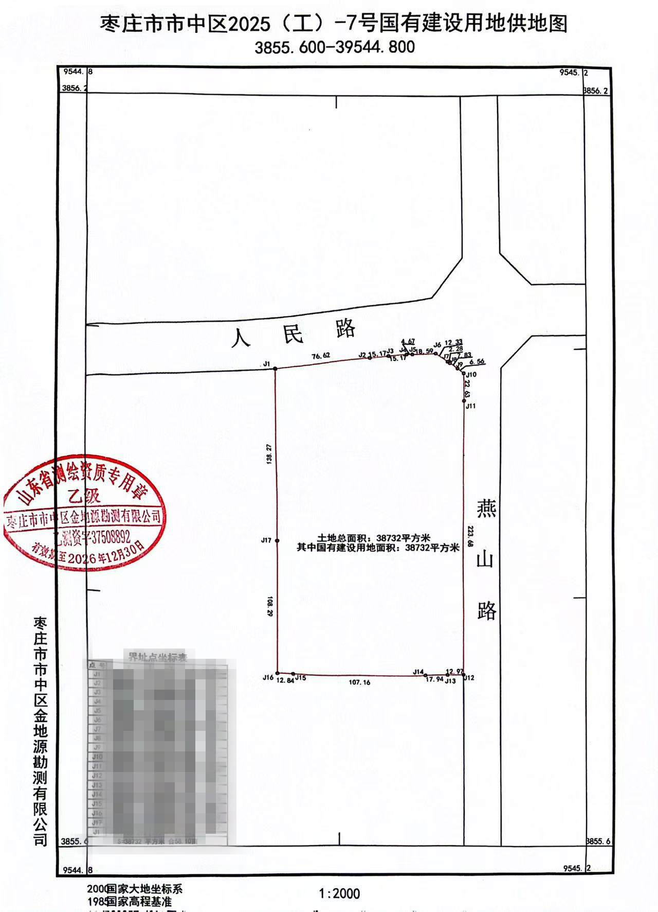
地块编号:市中区2025(工)-7号

不动产单元码:370402104207GB00003W00000000

用地单位:枣庄汇达资产运营有限公司

项目名称:中建材特种玻璃深加工建设项目一期厂区建设工程

用地位置:市中区燕山路西侧、人民路南侧

用地性质:二类工业用地(100102)

用地面积:38732平方米

二、公告时间

从2025年12月26日至2026年1月1日止,共7日。

三、其他说明

凡与上述申请事项之间有重大利益关系的申请人、利害关系人可在公告期限内以真实身份向我局提出书面意见并附联系方式,如逾期未提出的视为放弃申述权利。

监督电话:0632-7502772

附件:合同图纸

枣庄市自然资源和规划局

2025年12月26日


市中区2025(工)-7号 勘测定界图无坐标.jpg