山东台发集团新能源材料产业园项目(二期)《建设用地规划许可证》批前公告
发布日期: 2025-11-19
我局拟对山东台发投资发展集团公司(用地单位)核发《建设用地规划许可证》,现予公告。公告内容如下:
一、地块信息
不动产单元号:370405 104028 GB00012 W00000000
用地单位:山东台发投资发展集团公司
项目名称:山东台发集团新能源材料产业园项目(二期)
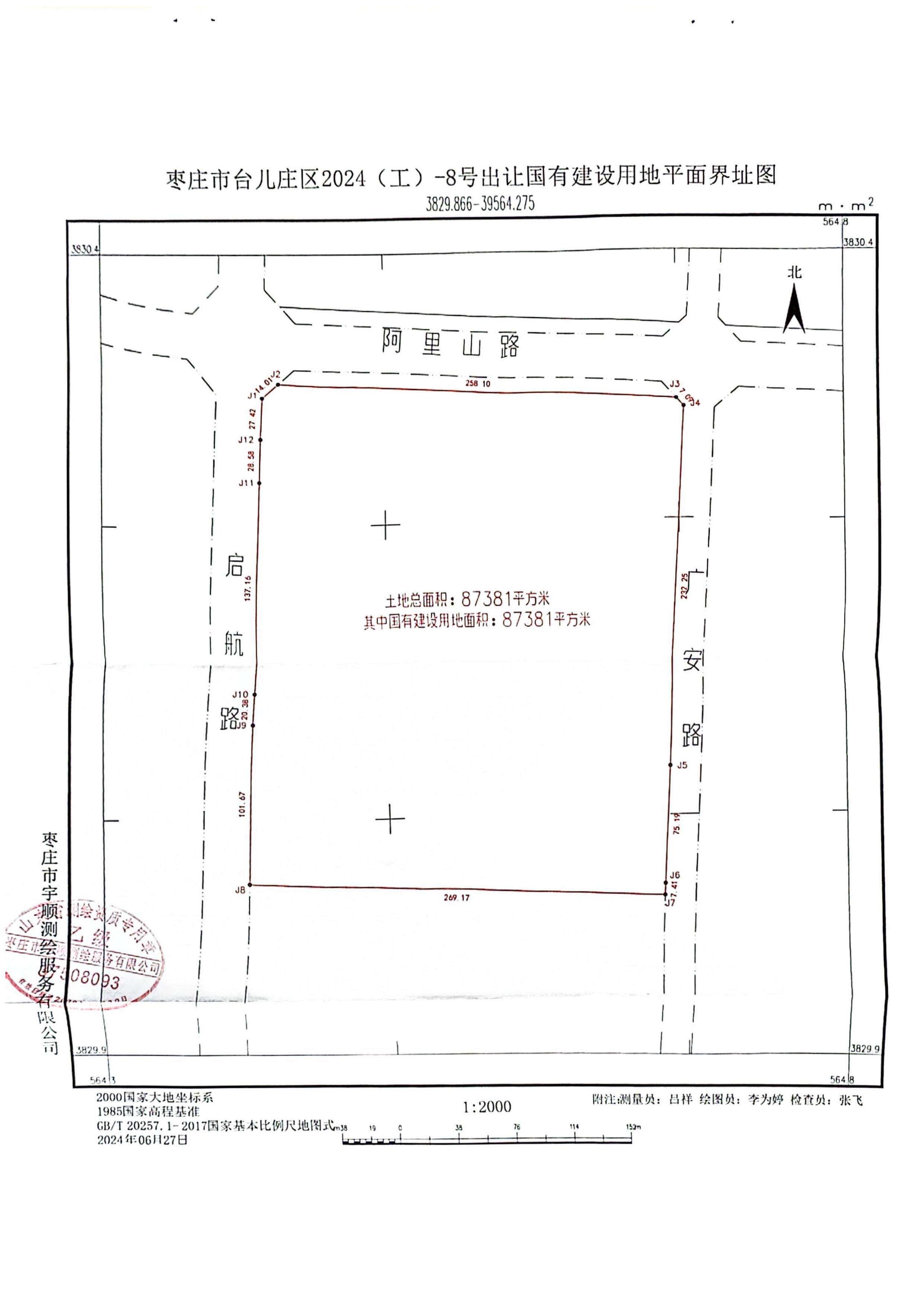
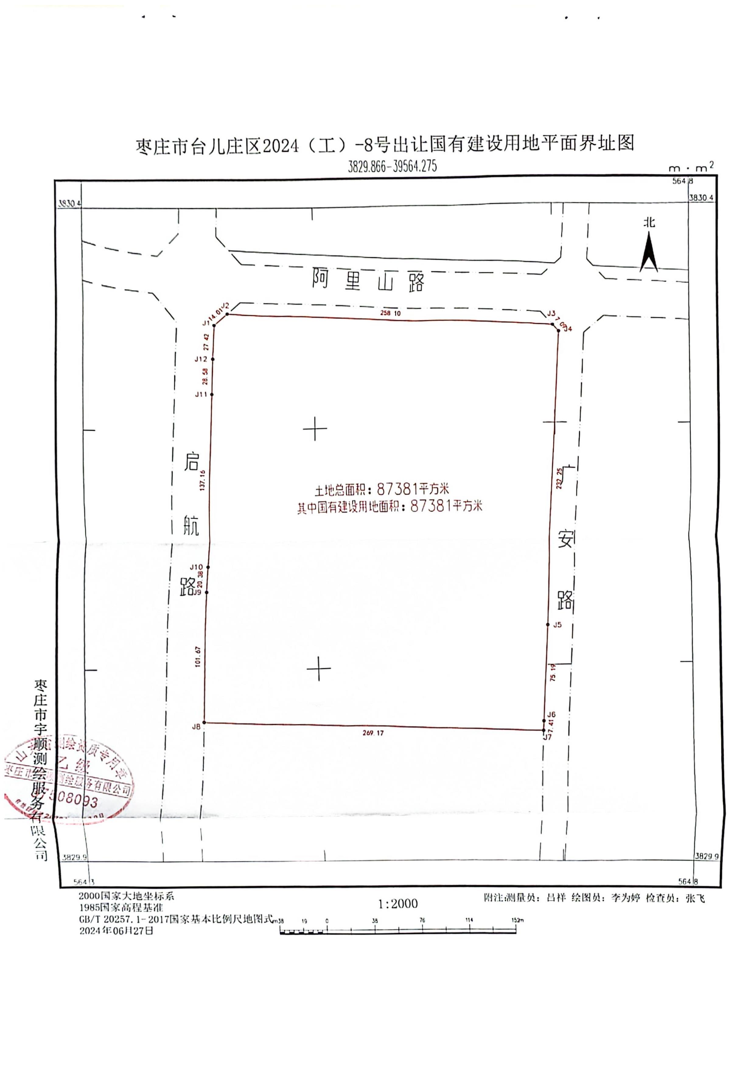
用地位置:台儿庄区玉山路北侧,启航路东侧,广安路西侧
用地性质:工业用地
用地面积:87381平方米
二、公告时间
从2025年11月19日至2025年11月25日止,共7日。
三、其他说明
原《建设用地规划许可证》(证书编号:地字第370405202400013号)作废。
凡与上述申请事项之间有重大利益关系的申请人、利害关系人可在公告期限内以真实身份向我局提出书面意见并附联系方式,如逾期未提出的视为放弃申述权利。
监督电话:0632-6611716、0632-6681717
附件:国有建设用地平面界址图
枣庄市自然资源和规划局
2025年11月19日
